Saltar para o conteúdo principal
HI
News
The Hydrographic Institute
The Director-General
Institutional Documents
Magazines/Publications
Quality
Recruitment
Equality Plan
Complaint Channel
Products and Services
Nautical Cartography
Safety of Navigation
Oceanographic forecast
Services
Resources
Ships and vessels
Unmanned vehicles
Laboratories
Equipment
Activity
Programs
Projects
STANDARD S-100
Data Infrastructures
IH SensorTech
Hydrographic Brigade
CGEOMETOC
Hydrographic Cartography Regulation
Events
Data
Access to data
Data transfer
Documentation
Infoteca
Links
NATO MGEOMETOC-COE
Public procurement
News
11-01-2019
Commander Pinto da Silva is the new Head of the Hydrographic Brigade
20-12-2018
The Secretary of State for National Defense visited the Hydrographic Institute
17-12-2018
The Hydrographic Brigade hosted a shadowing job action
13-12-2018
Visit of students from the Higher School of Setúbal Technology to the IH
06-12-2018
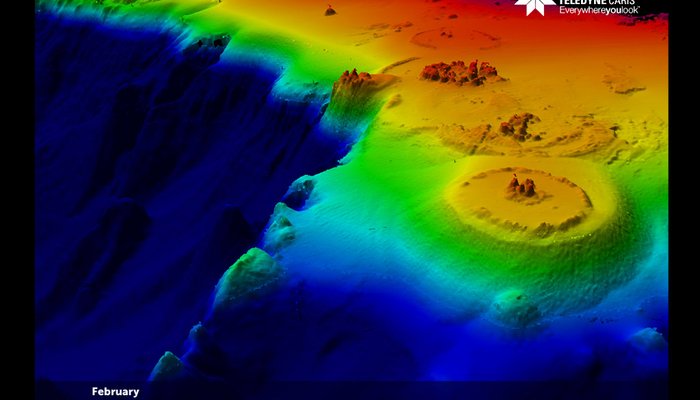
IH images highlighted in the Teledyne CARIS calendar
05-12-2018
IH receives the visit of students from the Department of Geological Oceanography, University of Aveiro
04-12-2018
Director of the School of Hydrography and Oceanography holds Workshop in Colombia
22-11-2018
EHIR activated to provide support in Borba searches
21-11-2018
Hydrographic Institute receives the visit of the Angolan Navy Delegation
1
2
…
93
94
95
…
129
130