HI
News
The Hydrographic Institute
The Director-General
Institutional Documents
Magazines/Publications
Quality
Recruitment
Equality Plan
Complaint Channel
Products and Services
Nautical Cartography
Safety of Navigation
Oceanographic forecast
Services
Resources
Ships and vessels
Unmanned vehicles
Laboratories
Equipment
Activity
Programs
Projects
STANDARD S-100
Data Infrastructures
IH SensorTech
Hydrographic Brigade
CGEOMETOC
Hydrographic Cartography Regulation
Events
Data
Access to data
Data transfer
Documentation
Infoteca
Links
NATO MGEOMETOC-COE
Public procurement
News
13-11-2019
Hydrographic Institute in Business2Sea 9th Edition
12-11-2019
IH receives the visit of the Master's in Sea Sciences students from FCUL
11-11-2019
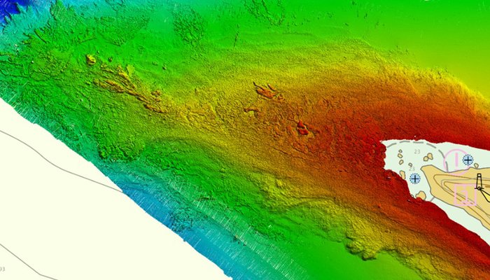
Hydrographic Institute launches application of coastal cartography to support activity planning
08-11-2019
Visit by the Portuguese Association of the NATO Defense College to the IH
07-11-2019
Project GUAD20 - Guadiana: Navigable Natural Heritage
07-11-2019
Cooperation protocol signed between the OH and DGPM
05-11-2019
Signature of the cooperation protocol between the IPQ and the OHI
25-10-2019
End of the geophysical survey campaign between Sagres and Albufeira
24-10-2019
Bilateral meeting between the Instituto Hydrográfico de la Marina de Spain and the IH
1
2
…
81
82
83
…
131
132