NRP “Admiral Gago Coutinho” continues to carry out hydrographic surveys
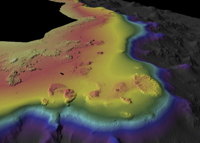
The NRP “Admiral Gago Coutinho” continues to carry out hydrographic surveys in the seas of the Azores, in order to complete the mapping, in batimetric terms, of the seabed near the Flores Islands and the Raven.
With the data obtained, it was already possible to generate the full batimetric models around the Flores and Corvo Islands, which can be seen in the images published here.
